
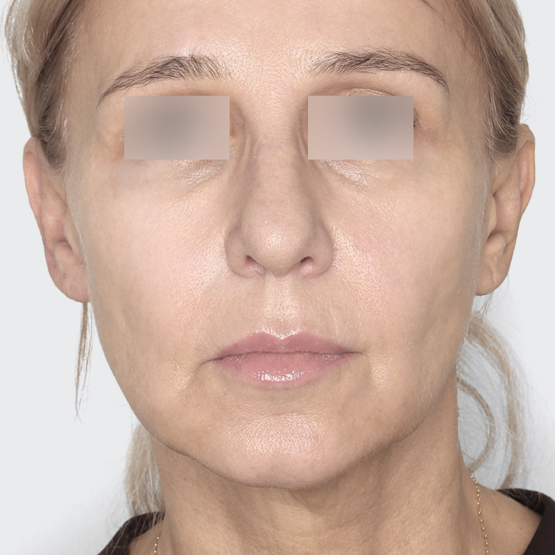
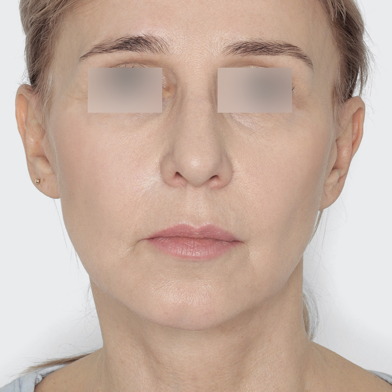
What is a facelift and what does the procedure look like?
A traditional facelift is a surgical procedure performed under general anesthesia, requiring an overnight stay in the hospital. It involves carefully reducing tissue in the mid and lower face and neck. As we age, tissue starts to sag, causing the skin to wrinkle. During the procedure, the surgeon not only tightens the skin but also works on deeper layers. They gently incise and reposition the SMAS (superficial musculoaponeurotic system), a layer of tissue that covers the muscles, in areas where the skin has lost elasticity. Incisions are made in inconspicuous locations, such as at the temple, in front of the ear, and behind the ear. Following this reconstruction, the skin conforms better to the muscles, while preserving the face's natural expressions.
Depending on the area requiring correction and the desired results, we perform several types of facelift.
Deep Plane Face Lift
This is an advanced type of facelift that involves lifting not only the skin, but also the deep layers like muscles and fatty tissue. This makes it possible to achieve more natural and long-lasting rejuvenation results. This procedure is particularly well suited for significant sagging of the cheeks, the so-called hamster cheeks, and loose neck skin. Compared to a classic facelift, it allows for a significant reduction in skin tension, which reduces the risk of overstretching and produces more subtle results.
Neck, temporal or mini facelift
The Neck Face Lift focuses on removing excess skin and fatty tissue from the neck area and jawline. It is often performed in conjunction with a classic facelift for a more complete rejuvenation effect. The neck lift significantly improves the contour of the jawline and eliminates the so-called double chin.
The Temporal Face Lift, on the other hand, covers the upper parts of the face, mainly around the outer corner of the eye and the eyebrows. The goal is to gently lift these areas, resulting in a more open and younger-looking appearance. The mini facelift, on the other hand, is a less invasive version of the classic facelift, performed on patients with moderate skin laxity. The procedure is distinguished by a shorter recovery period and less interference.
Forehead Lift (Brow Lift)
A brow lift involves lifting the skin and muscles in the forehead and brow area. The goal is to smooth out horizontal wrinkles on the forehead and correct drooping eyebrows, resulting in a more rested and youthful appearance. Incisions are made along the hairline, making scars virtually invisible.
Lip Lift
The upper lip lift procedure involves shortening the distance between the nose and the upper lip, which makes the lips appear fuller and more expressive. The effect of the procedure is a rejuvenation of the lower part of the face and an improvement in the proportions around the mouth. Lip lift is often chosen by people who want to achieve naturally fuller lips without the use of fillers.
How to prepare for a facelift procedure?
The doctor's recommendations may vary depending on the type of facelift, e.g., classic, temporal, or neck lift, so it is important to follow the surgeon's individual instructions. Usually, the patient should stop taking medications that affect blood clotting or other non-steroidal anti-inflammatory drugs, as well as herbal preparations that may increase the risk of bleeding, approximately 3-4 weeks before the procedure. One week before the operation, it is recommended to limit or completely discontinue stimulants such as alcohol and cigarettes, which may adversely affect wound healing.
In the case of a facelift performed under general anesthesia, the last meal should be eaten 8-10 hours before the procedure. However, in the case of a facelift performed under local anesthesia, a light meal is allowed before the operation. On the day of the procedure, the patient should avoid applying makeup, creams, or other cosmetics to the face.
Recovery after facelift surgery
For a few days after the procedure, your face may be noticeably swollen and bruised – these symptoms will subside over time. Treatments included in the Comprehensive Perioperative Care program can shorten the recovery time. They not only improve the quality but also the speed of healing and eliminate the feeling of tension in individual tissues. We encourage you to take advantage of the scar elimination program (PSM). After the surgery, you should avoid bending over and lifting heavy objects for at least one month. The lifting effect is permanent and usually does not need to be repeated.
What are the contraindications to a facelift?
Although a facelift is one of the most effective ways to rejuvenate and improve facial contours, not everyone can undergo the procedure. The list of contraindications includes, among others:
- chronic diseases in the exacerbation phase, such as uncompensated hypertension, diabetes or heart disease, which can increase the risk of complications during the procedure;
- blood clotting disorders, which significantly increase the risk of excessive bleeding during surgery and in the recovery period;
- skin infections or inflammation in the face, which can lead to complications and impede wound healing;
- Pregnancy and breastfeeding - during this period the procedure is not recommended due to hormonal changes and increased risk of complications;
- tendency to scarring (keloids) - people with such a tendency may have a problem with unsightly scarring at the incision sites;
- uncompensated psychiatric disorders, such as depression or obsessive-compulsive disorders related to appearance, which may negatively affect the patient's expectations of the procedure and the recovery process.
Important information
Duration of treatment
ca. 3 hours
Required tests
blood group, blood count, coagulation indices (APTT and INR), creatinine, glucose level, electrolytes (Na, K), general urine test, hepatitis B vaccination, ECG
Anesthesia
intravenous or general
Stay at the clinic
1 day
Recovery
up to 14 days
Removal of sutures
first on day 5, next on day 10-14
Dressings
when the sutures are removed
Contraindications
Vascular diathesis, coagulation disorders, unregulated hypertension, unregulated diabetes, purulent infection of the skin and mucous membranes, pregnancy
Pre-treatment recommendations
Price list
Type of treatment
Price from
Price to
Total facelift
30 000 PLN
50 000 PLN
Secondary facelift
42 000 PLN
60 000 PLN
Deep Plane Face Lift
60 000 PLN
75 000 PLN
Neck lift, temporal lift, or mini-lift
20 000 PLN
30 000 PLN
Forehead Lift
20 000 PLN
26 000 PLN
Lip Lift
10 000 PLN
12 000 PLN
Dr. Marek Szczyt
Plastic surgeon















































